Zonnedauwstraat 5, Genk

REF: 7193502

Zonnedauwstraat 5, 3600 Genk

€ 240.000

  • 945 m²

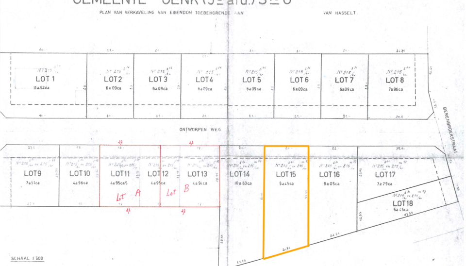
PRACHTIGE, ZUIDWESTELIJK GERICHTE BOUWGROND VAN 9A45CA OP TOPLOCATIE TE BOKRIJK (GRENS GENK-HASSELT) !

Deze knappe bouwgrond van 9a45ca voor een open bebouwing is gelegen in een rustige, residentiële buurt op de grens van Genk-Hasselt (gelegen op de verbindingsstraat tussen de Berenbroekstraat en de Aspergerijstraat). De ligging is hier meer dan top te noemen. De groene omgeving van domein Bokrijk ligt op een boogscheut verwijderd en de uitgestrekte natuur van de Maten vind je ook om de hoek! Alle voorzieningen zoals winkels, scholen,… vind je hier op fietsafstand terug. Zowel Hasselt als Genk bereik je van hieruit binnen een mum van tijd!

Het perceel is zuidwestelijk gericht en wordt omheind door hoge hagen die de privacy en het groene karakter garanderen. Men geniet hier dus op de juiste momenten van de dag van de zon.

Deze bouwgrond, gekend als lot 15 van een niet-vervallen verkaveling is geschikt voor het bouwen van een open bebouwing. Hiervoor zijn dus verkavelingsvoorschriften van toepassing.

De perceelbreedte aan straatzijde bedraagt 20 meter en heeft een gemiddelde diepte van 47 meter.

De open bebouwing die gebouwd zal worden, mag een maximale bouwdiepte hebben van 15 meter en een maximum hoogte van 6 meter (tussen grondpeil en kroonlijst). Hou hierbij rekening dat de woning op 6 meter van de rooilijn gebouwd moet worden. Er dient 5 meter van de zijdelingse perceelsgrenzen gebleven te worden.

Een afzonderlijke achterbouw in functie van tuinberging, garage,… is eveneens toegestaan onder voorwaarden.

De volledige verkavelingsvoorschriften, het verkavelingplan met afmetingen van de grond en andere wettelijk verplichte documenten vindt u terug onder ‘downloads’ onder het betreffende pand op onze website www.momentumvastgoed.be.

Een bouwgrond op zo een toplocatie als deze, vindt men niet snel. Matcht jouw bouwdroom met deze zeer gegeerde locatie waar privacy en rust gegarandeerd worden? Verdere vragen of interesse?

Contacteer ons op 011 96 51 76 of mail naar info@momentumvastgoed.be.

Uw expert

Kirsten Simonaitis

Kirsten Simonaitis

011 96 51 76

Details van het pand

Financieel

Prijs
€ 240.000
Beschikbaarheid
Vanaf akte
Kadastraal inkomen
€ 1
Opbrengsteigendom
nee

Ligging

Ligging
Residentiële wijk
Omgeving school
ja
Omgeving openbaar vervoer
ja
Omgeving winkels
ja
Omgeving sportcentrum
ja

Comfort

Aansluiting riolering
ja
Aansluiting water
ja

Terrein

Perceel opp.
945,00 m²
Terreindiepte
47,00 m
Tuin
nee

Energie

Technieken

Elektriciteit
ja

Indeling

Terras
nee

Stedenbouwkundige informatie

Bestemming
Woongebied
Bouwvergunning
nee
Verkavelingsvergunning
ja
Voorkooprecht
nee
Dagvaarding
Geen rechterlijke herstelmaatregel of bestuurlijke maatregel opgelegd
Vonnissen
nee
G-score
A
P-score
A
Watergevoelig openruimtegebied
Nee

Ruimtelijke ordening

Kadaster sectie
G
Kadaster nummer
0215S73P0000
Kadaster opp.
945,00 m²
Kadaster afdeling
71306 GENK 6 AFD
Bodemattest
ja
Datum bodemattest
09 juni 2025

Downloads

Genk

Genk

GENK

MOMENTUM VASTGOED - UW MAKELAAR IN GENK
Wonen in de stad Genk
Wat zijn de troeven van de stad Genk en wat zijn een aantal goede redenen om je er te willen nestelen?
Betaalbaar wonen in Genk
Of u nu op zoek bent naar een bouwgrond, woning, villa, appartement, studio, penthouse: het vastgoedaanbod in Genk is zeer ruim en betaalbaar tegelijk. Interessante vastgoedprijzen in vergelijking met de kwaliteit vind je in Genk in groot aanbod terug.
Een stad die veel te bieden heeft
Groen

In Genk vind je 1.100 hectare bos terug en vele groene openbare domeinen waar naar hartenlust in gewandeld kan worden. Denk maar aan het Molenvijverpark bij het Heempark, de mijnterrils van Winterslag en Waterschei, het domein Bokrijk, de Maten in Termien, enz... In de Kattevennen vind je de Genkse toegangspoort tot het Nationaal Park Hoge Kempen: het enige nationale park in Vlaanderen met een oppervlakte van 12.000 hectare bos en heide. Dit gebied strekt zich vooral uit over de oostelijke gemeenten (As, Bilzen, Bree, Dilsen-Stokkem, Genk, Lanaken, Maaseik, Maasmechelen, Oudsbergen en Zutendaal) en omvat uitgestrekte dennenbossen die worden afgewisseld met knappe heide, grote waterplassen en hoge toppen met de mooiste vergezichten.

Ontspanning
In Genk ontspanning en cultuur troef. Klinken "La Biomista" of "Studio Pieter Stockmans" je bekend in de oren? Je vind ze beide in stad Genk! De kleine ontdekker haalt zijn hartje op in Cosmodrome Kattevennen of tijdens een echte expeditie naar het mijnverleden op de site van de C-Mine (die overigens ook een mooi cultuurprogramma aanbiedt en waar je op dezelfde site, de euroscoop en het verhuur van vespa's terug vindt). Sportievelingen en sportliefhebbers vinden hun gading wellicht in het sportingenk-park, in Bokrijk bij “Fietsen door het water” of op de mijnterrils van Winterslag en Waterschei (Thor Park) waar men trouwens ook vlakbij de Luminus Arena van KRC-Genk treft! Zelfs golf is er mogelijk (zowel voor de amateur als de "pro") en dit op het gevarieerd parcours van golfclub "Spiegelven", vlakbij de grens met Zutendaal.
Genieten van het leven dichtbij de stad
Kies je liever voor wonen in een rustige buurt of net niet en connecteer je liever met het bruisende stads- of wijkleven? Beide zijn mogelijk in de stad Genk. In iedere wijk van de stad vind je wel een dorpskern met de nodige voorzieningen binnen handbereik.
Hippe en knappe boetieks, barretjes, restaurants en bistros zijn talrijk aanwezig in stad Genk, niet alleen in het stadscentrum met verschillende in- en outdoor shoppingcentra, ook de handelsharten van de mijncités werden doorheen de jaren getransformeerd, zonder afbreuk te doen aan de eigen identiteit en charme van het multiculturele.
Momentum Vastgoed: Uw hands-on en no-nonsense Immo partner
Verhuis- of investeringsplannen binnen Genk? Wenst u uw eigendom te verkopen of verhuren?
Een deskundige en eerlijke kijk op uw situatie is onontbeerlijk. Bij Momentum Vastgoed vindt u een gevarieerd aanbod aan vastgoed te koop of te huur in Genk en daarrond. Voor een vrijblijvende en gefundeerde schatting staan wij dan ook paraat.
Zoekt u met andere woorden een hands-on partner in uw vastgoed-avontuur? U vindt bij ons een 'no nonsense' vastgoedkantoor gevestigd te Hasselt en Genk, dat actief is op de vastgoedmarkt in heel Limburg. Momentum Vastgoed is een vastgoedkantoor dat voor het kantelpunt zorgt in het verkoop- of verhuurproces van uw eigendom. Passie, ervaring en strategie belichamen ons vastgoedkantoor. Lees er hier meer over.
In onze ogen verdient iedere eigenaar Momentum Vastgoed. Check de ervaringen van eerdere klanten bij onze reviews op Google of Facebook!
Benieuwd naar onze positieve vibes? Leer ons hier alvast wat beter kennen.
Bezoek ook zeker even onze Facebook- en Instagram- pagina's! Alle nieuwe eigendommen verschijnen er in sneak preview op onze stories!

We breathe real estate, we create momentum !   

Schatting Hou me op de hoogte