Leenhaagstraat
REF: 7147949
Leenhaagstraat 23B, 3440 Zoutleeuw
€ 119.500
- 901 m²
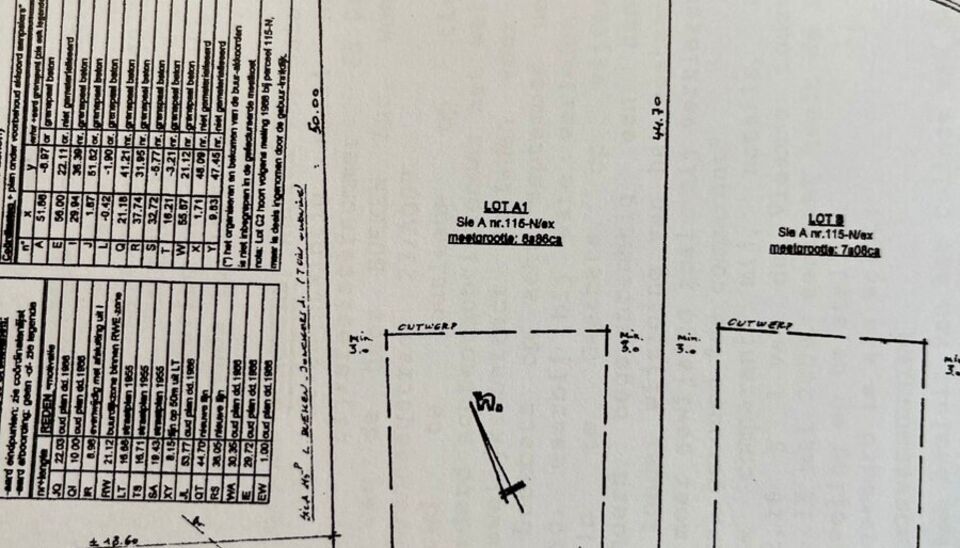
RUIM BOUWPERCEEL VAN 9A01CA VOOR OPEN BEBOUWING TE BUDINGEN
In de rustige en residentiële Leenhaagstraat te Budingen bieden wij u dit ruim bouwperceel van 901 m² aan. Het perceel is bestemd voor het oprichten van een open bebouwing en vormt de perfecte basis om uw droomwoning te realiseren.
Met een straatbreedte van 16,68 meter en een diepte van ca. 50 meter beschikt u over mooie proporties voor een ruime gezinswoning. U mag bouwen tot 15 meter diepte op het gelijkvloers en 12 meter op de verdieping. Het hoofdgebouw dient 3 meter van beide perceelsgrenzen af te blijven, waardoor er voldoende open ruimte rondom de woning behouden blijft. De maximale kroonlijsthoogte bedraagt 6,2 meter, wat ruimte laat voor een hedendaagse, stijlvolle architectuur.
Ook bijgebouwen zijn toegestaan, mits inachtneming van de verkavelingsvoorschriften. Zo kan u extra ruimte voorzien voor een garage, berging of hobbyruimte, volledig afgestemd op uw eigen woonwensen.
De volledige verkavelingsvoorschriften en het verkavelingsplan kan u eenvoudig downloaden via onze website.
Meer info of interesse? Bel ons op 011 96 51 76 of mail ons op info@momentumvastgoed.be
Details van het pand
Financieel
- Prijs
- € 119.500
- Kadastraal inkomen
- € 7
- Opbrengsteigendom
- nee
Terrein
- Perceel opp.
- 901,00 m²
- Terreindiepte
- 50,00 m
- Tuin
- nee
Energie
Indeling
- Terras
- nee
Stedenbouwkundige informatie
- P-score
- A
Ruimtelijke ordening
- Kadaster sectie
- A
- Kadaster nummer
- 24017W
- Kadaster afdeling
- 5
- Bodemattest
- ja
- Datum bodemattest
- 26 september 2025
Downloads
- Bouwgrond Zoutleeuw - Verkavelingsvoorschriften blur - 263b4002.pdf
- Bouwgrond Zoutleeuw - Verkavelingplan blur - 61bd0a81.png
- Bouwgrond Zoutleeuw - Bos - nvt - 19a3d812.png
- Bouwgrond Zoutleeuw - export-cadgis (8) - 6ea4e884.pdf
- Bouwgrond Zoutleeuw - ConformiteitsAttesten-O2025-0900542-22 9 2025 - 0e636161.pdf
- Bouwgrond Zoutleeuw - ConformiteitsAttesten-O2025-0900555-22 9 2025 - 796451f7.pdf
- Bouwgrond Zoutleeuw - Gewestinfo-O2025-0900538-22 9 2025 - e9db4c66.pdf
- Bouwgrond Zoutleeuw - Gewestinfo-O2025-0900556-22 9 2025 - 9edc7cf0.pdf
- Bouwgrond Zoutleeuw - Herstelvorderingen-O2025-0900543-22 9 2025 - 07d52d4a.pdf
- Bouwgrond Zoutleeuw - Herstelvorderingen-O2025-0900551-22 9 2025 - 70d21ddc.pdf
- Bouwgrond Zoutleeuw - OngeschiktOnbewoonbaar-O2025-0900544-22 9 2025 - eeb6887f.pdf
- Bouwgrond Zoutleeuw - OngeschiktOnbewoonbaar-O2025-0900559-22 9 2025 - 99b1b8e9.pdf
- Bouwgrond Zoutleeuw - OnroerendErfgoed-O2025-0900540-22 9 2025 - 00b8e953.pdf
- Bouwgrond Zoutleeuw - OnroerendErfgoed-O2025-0900550-22 9 2025 - 77bfd9c5.pdf
- Bouwgrond Zoutleeuw - Overstromingsgevaar-O2025-0900541-22 9 2025 - 254e32a2.pdf
- Bouwgrond Zoutleeuw - Overstromingsgevaar-O2025-0900557-22 9 2025 - 52490234.pdf
- Bouwgrond Zoutleeuw - RechtVanVoorkoop-O2025-0900539-22 9 2025 - c2f61fa5.pdf
- Bouwgrond Zoutleeuw - RechtVanVoorkoop-O2025-0900554-22 9 2025 - b5f12f33.pdf